News Flash Home
The original item was published from 3/8/2023 9:43:59 AM to 3/23/2023 12:00:06 AM.

News Flash

City of Pierre News

Posted on: March 8, 2023

[ARCHIVED] City Approves Street Improvement Plan

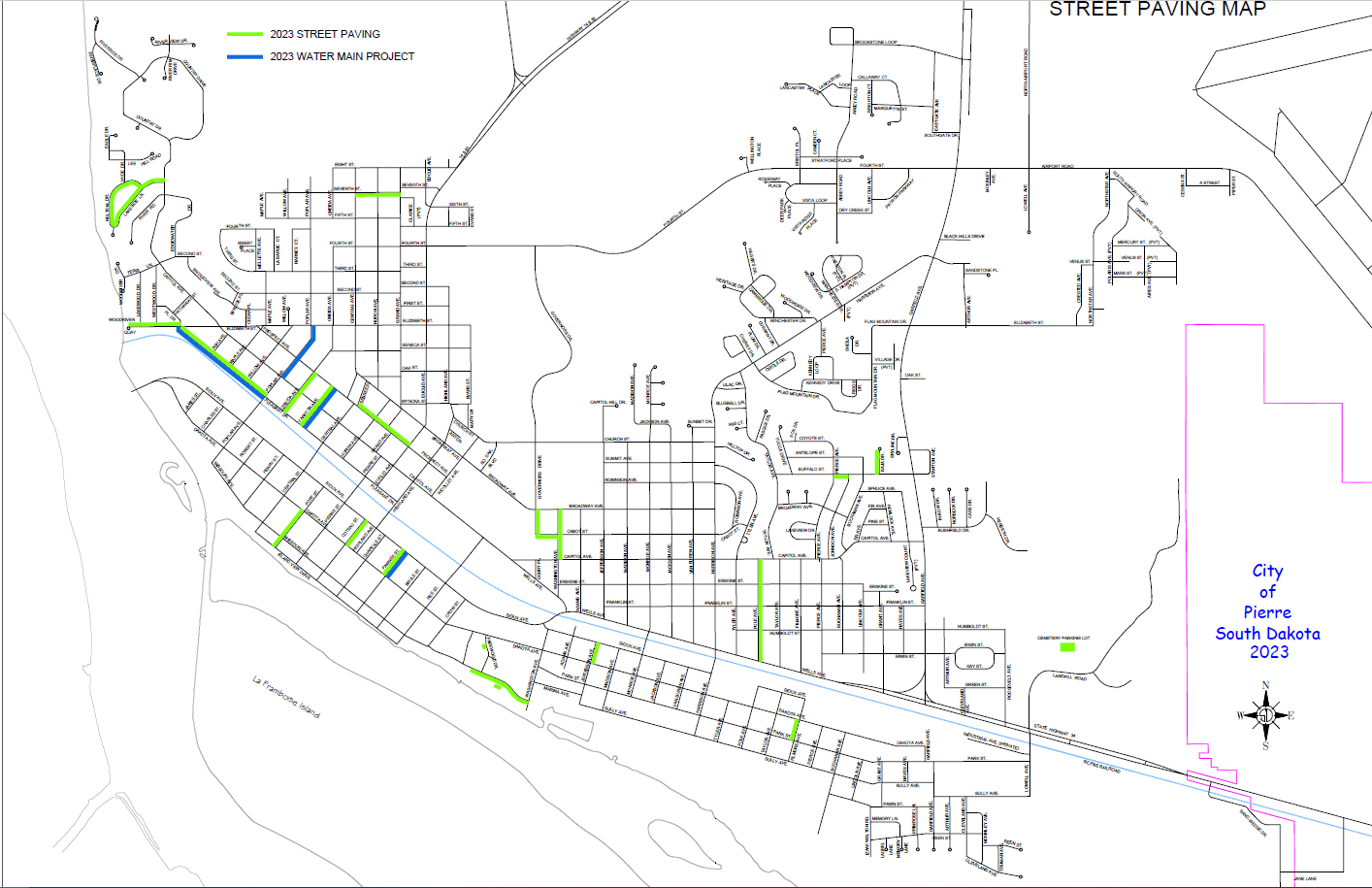
3.7.23_STREET PAVING MAP

 The City of Pierre plans to improve about 60 blocks of street throughout this construction season. 

At the March 7 commission meeting, City leaders awarded a $2.38 million asphalt contract to Morris, Inc. and a $455,000 Curb and Gutter contract to Anderson Contractors, Inc. 

Asphalt Contract

The asphalt contract is for the resurfacing of more than 40 blocks of street.

“Some of those blocks will simply get a new top layer, others blocks will have underground utility work, or will be completely rebuilt and then have a new layer of asphalt put on top,” said Madison Jaeger, Staff Engineer.

Jaeger said that stretches of West Pleasant Drive and Yankton Avenue are examples of areas that will require extensive work.

“Each of those include underground utility work, a full street rebuild, and then paving,” said Jaeger.

Work will begin as weather and contractor availability allow.

Curb and Gutter Contract

The Anderson contract will cover the repair of about 25 blocks of curb and gutter.

Curb and gutter work is often a signal that street repairs are coming to the area soon. The City tries to replace curb and gutter a year prior to resurfacing or rebuilding street to expedite the construction timeline.

Well-functioning curb and gutter is a street preservation tool that allows storm water to properly convey off the street surface.  If water is not moving properly, the moisture will penetrate the streets causing cracks, potholes, and potentially damage under the surface.

Curb and gutter work will begin as weather and contractor availability allow.

 


Facebook Twitter Email